VTuber『うおむすめ』が磯採集に挑戦! タイドプールの見釣りで小魚連発に大喜び

VTuber『うおむすめ』が磯採集に挑戦! タイドプールの見釣りで小魚連発に大喜び">
VTuber『うおむすめ』とは? ジー・プラン株式会社が運営する、「魚や釣りの魅力を伝える」というミッションを掲げる、魚をモチーフにしたVTuberプロジェクト『うおむすめ』。 『うおむすめ』は、魚を …
イチオシスト
「魚や釣りの魅力を伝える」というミッションを掲げる、魚をモチーフにしたVTuberプロジェクト『うおむすめ』が磯採集ロケに挑む。講師役は海底地形マップ「釣りドコ」を運営しているアジア航測株式会社に勤務されている高柳茂暢さん。網だけでなく、パワーイソメを使用した「見釣り」に挑戦した採集の様子を高柳さんのレポートにてお届け!
(アイキャッチ画像提供:高柳茂暢)


VTuber『うおむすめ』とは?
ジー・プラン株式会社が運営する、「魚や釣りの魅力を伝える」というミッションを掲げる、魚をモチーフにしたVTuberプロジェクト『うおむすめ』。
『うおむすめ』は、魚をモチーフにしたメンバー「黄金マアジ」、「紅波マダイ」、「桃川ニジマス」を中心に雑談・ゲーム実況・歌ってみたなどの配信活動に加え、現実世界での実釣ロケも精力的に行う唯一無二のVTuberだ。
左から「黄金マアジ」「紅波マダイ」「桃川ニジマス」(提供:ジー・プラン株式会社)
磯採集に挑戦!
実釣ロケもこなす『うおむすめ』が今回挑戦するのは、「磯採集」。6月某日、『うおむすめ』の3名が神奈川県の荒崎海岸に集結。網と観察ケースを手にタイドプールを駆け回った。
『釣りドコ』高柳さんが講師
当日は講師役として、磯の地形や水生生物に詳しい、アジア航測株式会社の高柳茂暢さんも同行。アジア航測株式会社は、釣り人にとっておなじみの海底地形マップ『釣りドコ』を運営している会社だ。
『うおむすめ』がタイドプールで水生生物を相手に奮闘する様子を、高柳さん視点でお届けしていこう。
講師役は「釣りドコ」運営メンバーの高柳さん(提供:ジー・プラン株式会社)
三浦半島の荒崎海岸へ
はじめまして!詳細な海底地形で魚の居場所が分かる「釣りドコ」を運営している高柳です!今回はVTuber『うおむすめ』の皆さんと三浦半島の荒崎海岸で磯採集をしてきました。
荒崎海岸と言えば三浦半島でも指折りの磯遊び人気エリア。陸上の地形はかなり荒々しいのですが、実はその地形が海底にも続いているんです。そんな複雑な地形だからこそ、さまざまな環境に磯の生きものが生息しているんですね。
青丸が磯遊びをした場所(提供:高柳茂暢)
梅雨時期にも関わらず、当日は快晴で磯遊び日和。潮回りは中潮で、干潮前後の時間帯を狙いました。3人とも磯採集は未経験との事でしたが、皆さん“夏休み満喫モード”で気合十分!
磯を見てテンションが上がるうおむすめ(提供:ジー・プラン株式会社)
波乱の幕開け
意気揚々とロケスタート!……と思いきや、序盤からハプニング発生。オープニングを収録した後、マダイさんが灼熱の太陽にやられて一旦車の中で休憩することに。
30度を超える気温の中、波乱の幕開けとなりましたが、マアジさんとニジマスさんは元気だったので2人とともに撮影は続行!熱中症と日焼けに気を付けながらタイドプールを目指しました。
磯遊びの道具
今回用意した磯遊びグッズはタモ網、箱めがね、観察ケースの3点。それから潮だまりの魚を釣るための竿と針と餌を用意しました。
過去の動画で事前に勉強して、3人とも生きた虫エサが苦手だと分かっていたので、今回はパワーイソメを準備するという名采配。
さらに今回は磯場周辺の魚も観察しちゃおう!ということで、水中撮影にもチャレンジしてみました。
潮だまりの釣りで使用した竿とパワーイソメ(提供:ジー・プラン株式会社)
甲殻類を狙い撃ち
まずは磯採集の中でも比較的採集しやすい、カニやエビなどの甲殻類を狙うことに。こちらは潮だまりの超定番生物のイソスジエビ!動きがゆっくりなので、タモ網をそっと近づけて驚かさないように網の方へそっと誘導するのがコツです。
身体がスケスケで涼しげなイソスジエビ(提供:ジー・プラン株式会社)
次はカモフラージュのプロフェッショナル、イソクズガニ!潮だまりをじーっと見て、ゆっくりと動くコケの塊があればイソクズガニで間違いないでしょう。
イソクズガニを見つけるには熟練を要するのですが、目が慣れると怪しい塊に気づけるので、わりと見つけやすいかも?
カモフラージュのプロ「イソクズガニ」(提供:ジー・プラン株式会社)
さらに潮だまりを見ているとパタパタと泳ぐタイワンガザミが!後ろ足は「遊泳脚」といって、これをオールのように使って上手に泳ぎます。
泳ぎが得意なタイワンガザミ(提供:ジー・プラン株式会社)
そしてお次はこれも磯の生物の超定番のアメフラシ!うおむすめのメンバーはぷよぷよの感触に大興奮!キャーキャー言っているうちに紫色の汁が……。かわいそうなのでそっと元の場所へ戻してあげました。
パワーイソメで見釣りに挑戦
カニやエビを採集した後は、磯遊びならではの「見釣り」に挑戦。ここ荒崎のタイドプールにはクモハゼの仲間をはじめ、ボラやカエルウオなどがたくさん泳いでいました。
……ということで今回の勝負は「時間内にクモハゼを多く釣り上げたメンバーが勝利」というルールでの数釣り勝負に決定!
穴釣り用の竿先にハリス付の小さな袖鈎を結び付け、小さなガン玉と好きな色のパワーイソメをちょこんと付ければ準備は完了。
いざ数釣り勝負!(提供:ジー・プラン株式会社)
早速水の中へ仕掛けを入れると、お腹を空かせた肉食系のクモハゼが次々と襲い掛かってきます!じゃんじゃん釣れるので、最近あまり釣れていなかったといううおむすめメンバーは大喜び!勝負の行方は……ぜひ動画でご確認ください。
本命のクモハゼをしっかりとキャッチ(提供:ジー・プラン株式会社)
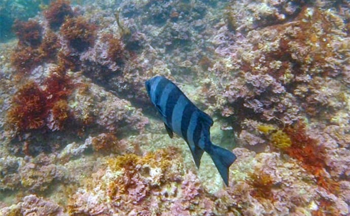
磯場にはどんな魚がいるのか?
うおむすめが熱い勝負を繰り広げている間、私は水中めがね、シュノーケル、フィンを付けて磯周辺の魚の観察へ。この日は濁りが強かったのですが、それでも色んな魚が出迎えてくれました。
岩陰でじっとしているウツボ(提供:高柳茂暢)
岩の隙間ではウツボが昼寝をしていたり、キビナゴの群れが涼しそうに泳いでいたり、根の奥からはイシダイが飛び出したり……。
根の影からはイシダイが登場(提供:高柳茂暢)
潜った時間は30分ほどでしたが、それでも20種以上の魚を観察することができ、復活したマダイさんも一緒に動画を確認してもらって大盛り上がり!私も久々の素潜りを満喫することができました。
うおむすめが荒崎海岸を攻略!
磯採集初挑戦ながら、荒崎海岸のカニやエビ、小型の魚までしっかりと採集することができた「うおむすめ」の皆さん。みんなでワイワイ遊べて楽しかったなぁ~!この夏、皆さんも磯遊びに挑戦してみてはいかがでしょうか?
暑い中でも懸命に水生生物を追う「うおむすめ」、釣りドコはこれからも応援させて頂きます!
磯採集の様子
<高柳茂暢/アジア航測株式会社>
記事提供元:TSURINEWS
※記事内容は執筆時点のものです。最新の内容をご確認ください。
